Glavni trg 24
1240 Kamnik
Nadaljevala se je vgradnja zaščitnih cevi za zaščito električnih kablov, vgradnja meteorne kanalizacije ter vgradnja tlačne kanalizacije. Hkrati se bodo položile tudi zaščitne cevi za javno razsvetljavo.
Dela potekajo pod popolno zaporo javne poti Žale, zato vljudno prosimo vse stanovalce za razumevanje in strpnost v času trajanja del.
Ureditev kabelske kanalizacije za javno razsvetljavo na območju Krajevne skupnosti Nevlje
Občina Kamnik je začela z ureditvijo kabelske kanalizacije za javno razsvetljavo na območju Krajevne skupnosti Nevlje.
V prvi fazi se bo uredilo območje od Podružnične šole Nevlje do uvoza na glavno cesto (proti bazenu Pod Skalco).
Vrednost investicije znaša približno 9.000 evrov.
Sanacija plazu pod vodohranom Hrib pri Kamniku
Zaradi neugodnih vremenskih razmer, varnosti pri delu in razmočenostiterena se je sanacija plazu nadaljevala šele v drugi polovici prejšnjega tedna.
Dela potekajo pri izgradnji kamnitega drenažnega rebra, ki bo omogočalo odvodnjavanje. Celotna sanacija bo izvedena v dolžini 32 metrov zidu s pripadajočimi drenažnimi rebri.
Oddelek za družbene dejavnosti
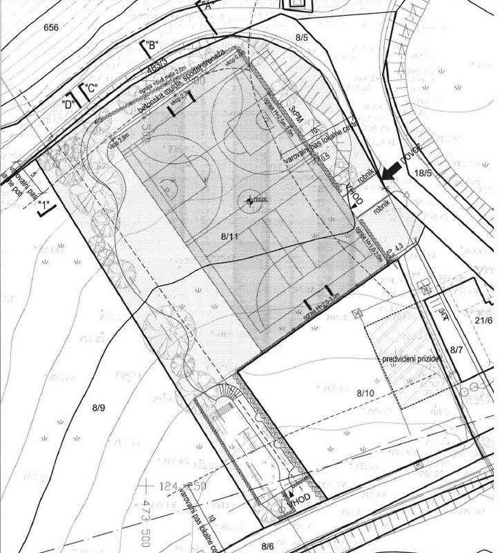
Športno igrišče Gozd
Občina Kamnik je v letu 2019 odkupila zemljišče ob gasilnem domu. V letu 2020 je bila pripravljena projektna dokumentacija, in sicer je predvidena ureditev večnamenskega športnega igrišča, kjer bo mogoče igrati košarko, nogomet, odbojko in igro med dvema ognjema. V sklopu ureditve športnega igrišča se bodo uredile tudi parkirne površine in otroško igrišče z igrali.
Ker se igrišče nahaja v vplivnem območju kulturne dediščine cerkve sv. Ane je bilo pri projektiranju krajinske arhitekture potrebno slediti usmeritvam ZVKD Kranj, zaradi česar je ob igrišču predvidena hortikulturna ureditev, in sicer zasaditev žive meje in avtohtonih drevesnih vrst.
Sočasno z izgradnjo igrišča se bo pokablil tudi daljnovod, ki poteka ob meji igrišča in se nadaljuje po dolini do hišne številke Gozd 15 a. Nedvomno bo omenjena pokablitev celotni vasi prinesla nov izgled, saj se bodo stebri obstoječega daljnovoda odstranili. Ko so bili pripravljeni prvi osnutki postavitve igrišča, je bilo ugotovljeno, da je potrebno daljnovod ob igrišču umakniti zaradi varovalnega pasu, skladno z zakonskimi predpisi. Prav tako pa je bila tudi usmeritev ZVKD Kranj, da se obstoječi stebri daljnovoda v čim večji meri umaknejo. Stekli so pogovori s podjetjem Elekto Ljubljana, ki je upravljalec daljnovoda in našli smo skupno rešitev, da se pokabli celotna trasa daljnovoda, saj je bila pred leti že zgrajena kabelska kanalizacija od gasilnega doma do hišne številke Gozd 15a, ki pa ni nikoli bila zaključena in dana v uporabo.
Gradbeno dovoljenje za športno igrišče je pridobljeno, v tem tednu pa je bila podpisana tudi pogodba med Občino Kamnik in Elektro Ljubljana o razmejitvi investicije glede pokablitve daljnovoda.
Občina si želi del finančnih sredstev v višini 20.000 evrov pridobiti tudi s strani Ministrstva za izobraževanje, znanost in šport in bo projekt prijavila na aktualni javni razpis za posodobitev ali vzpostavitev novih zunanjih športnih površin. V proračunu je v ta namen zagotovljenih približno 147.000 evrov.
Javni razpis za sofinanciranje mladinskih programov
Občina Kamnik na podlagi Zakona o javnem interesu v mladinskem sektorju in Pravilnika o sofinanciranju mladinskih programov in projektov v Občini Kamnik ter na podlagi Odloka o proračunu Občine Kamnik za leto 2021 vsako leto objavi Javni razpisza sofinanciranje mladinskih programov in projektov.
Na objavljen javni razpis je v letošnjem letu prispelo sedem vlog prijaviteljev, ki delujejo na področju mladine v občini. Komisija imenovana s strani župana je vloge pregledala in ovrednotila. Na podlagi zaključenega dela komisije so bile vsem prijaviteljem posredovane odločbe in po pravnomočnosti le-teh, tudi pogodbe o sofinanciranju mladinskih programov in projektov za leto 2021. V ta namen se letos zagotavlja 15.000 evrov.
Javni razpis za sofinanciranje kulturnih programov in projektov
Prav tako na področju kulture Občina Kamnik zagotavlja sredstva v proračunu za sofinanciranje kulturnih programov in projektov.
Na letošnji Javni razpis za sofinanciranje kulturnih programov in projektov se je prijavilo 64 prijaviteljev (v letu 2020 – 50 prijaviteljev), od vseh prijaviteljev je bilo potrebno samo dva (2) pozvati k dopolnitvi vloge, kar sta tudi storila.
Komisija imenovana s strani župana je svoje delo zaključila v petek, 7. maja 2021. Na podlagi zaključenega dela so jim bile posredovane odločbe o sofinanciranju. Po pravnomočnosti le-teh pa bodo podpisali tudi pogodbe o sofinanciranju. V ta namen se letos zagotavlja 115.000 evrov.
Poletno počitniško varstvo na Osnovni šoli 27. julij Kamnik
Društvo Počitniško varstvo Kamnik bo tudi letos s pomočjo Občine Kamnik organiziralo poletno počitniško varstvo, ki bo potekalo od 30. junija do 26. avgusta 2021. Varstvo bo potekalo na Osnovni šoli 27. julij v centru Kamnika, od 7. do 16. ure.
Vabljeni so vsi učenci kamniških osnovnih šol od 1. do 5. razreda. Letos je program počitniškega varstva poimenovan Naredimo boljši svet. Preko tematskih terminov se bomo posvetili zdravju, gibanju, recikliranju, ekologiji, rastlinam, živalim, dobrodelnosti in odnosu do sočloveka.
Pripravljamo pester in aktiven program, ki ga bodo sestavljel zanimive ustvarjalnice, športne aktivnosti in izlete. Ves čas se bomo povezovali z lokalno skupnostjo. Ob toplih in sončnih dneh bomo obiskali tudi kamniški bazen.
Že lansko leto smo razširili počitniško varstvo ter pripravili unikatno počitniško varstvo za otroke s posebnimi potrebami. Tudi letos bomo le-to ponovili ter tako zagotovili možnost počitniškega varstva vsem otrokom v občini Kamnik.
Program varstva:
Prijave so že odprte in bodo potekale vse do 25. maja 2021, število mest za posamezni termin je omejeno. Prijavnice lahko dobite na spletni strani matične šole ali na spletni strani društva Počitniško varstvo: http://pocitniskovarstvo.si/. Prijave otrok se zbirajo do zapolnitve mest. Prijavnico si lahko prenesete tudi TUKAJ.
Cena dnevnega varovanja z vključenim kosilom, popoldansko malice, programom, zavarovanjem in akontacijo znaša 9 EUR (za otroke izven Občine Kamnik cena znaša 12 EUR).
Za dodatne informacije lahko pokličete na telefonsko številko 030 318 676 ali se obrnete preko elektronske pošte pocitnisko.varstvo@gmail.com.
Društvo počitniško varstvo Kamnik se veseli novega poletja z vami.
Ponovno odprta Svetovalna pisarna za starejše Kamnik
Iz Svetovalne pisarne za starejše Kamnik so nas obvestili, da so ponovno odprli pisarno. V tem koronačasu so delovali sicer ves čas in ob nujnih težavah ter prošnjah sprejeli posameznika na pogovor.
Glede na ukrepe zoper širjenja COVID-19, je po predhodni telefonski najavi na pogovor v pisarni lahko prisoten le en uporabnik.
Svetovalna pisarna za starejše je za obiskovalce odprta vsak ponedeljek in petek od 8. do 10. ure ter ob sredah od 15. do 17. ure. Preden nas obiščete, prosimo, da nas pokličete na telefon 031 395 400 ali se najavite preko elektronske pošte: info@kamnik-starejsi.si.
Oddelek za razvoj in investicije
Fotografski natečaj Alpske konvencije za leto 2021 posvečen alpskim jezerom in rekam
Pod okriljem Alpske konvencije vsako leto poteka fotografski natečaj, katerega namen je prikazati Alpe z različnih vidikov: njihovo bogato kulturo in dediščino, njihovo spektakularno naravo, njihovo veličastno biotsko raznovrstnost in ekosisteme ter njihovo živahno življenje.
Letošnja tema so Vodna telesa in njihova biotska raznovrstnost.
Fotografski natečaj poteka od maja do avgusta. Vaše prispevke lahko oddate do 31. avgusta 2021.Trinajst najboljših fotografij bo vključenih v koledar Alpske konvencije za leto 2022, njihovi avtorji pa bodo prejeli tudi darila Alpske konvencije.
Izmed teh fotografij bosta švicarsko predsedstvo in Stalni sekretariat Alpske konvencije izbrala tri najboljše unikatne fotografije, njihove avtorje pa bosta nagradila z naslednjimi nagradami:
Vode za Alpsko konvencijo predstavljajo vedno aktualno temo, njen glavni namen pa je ohranjanje ali obnova zdravih vodnih sistemov, še posebno z ohranjanjem čistoče voda, sonaravno gradnjo hidroelektrarn in s takim izkoriščanjem vodne sile, ki v enaki meri upošteva interese ohranjanja avtohtonega prebivalstva in ohranjanja okolja (Deklaracija o celostnem in trajnostnem upravljanju voda v Alpah).
Alpsko podzemno in površinsko vodovje, kot so jezera, ribniki, potoki, barja in mokrišča, je neprecenljiva javna dobrina. Od vrhov do uravnav ta vodna telesa predstavljajo izjemno ploden življenjski prostor za številne rastlinske in živalske vrste, tako v sami vodi kot tudi na bregovih. S svojimi barvami, prosojnostjo, odsevi, sencami, gibanjem in mirnostjo oblikujejo alpsko krajino in delajo njihovo ozemlje unikatno. So javna dobrina in vrednota, ki preskrbuje ljudi in naravo večjega dela Evrope v vseh letnih časih.
V preteklih letih so izzivi, s katerimi se soočajo alpska vodna telesa, postali še bolj izraziti. Mednje spadajo spremembe v razpoložljivosti vode, manj predvidljive neravne nevarnosti, še posebno v zvezi s podnebnimi spremembami, spreminjajoči ekosistemi, naraščajoča potreba po vodi za konfliktne rabe ter potrebe, povezane s prostorskim načrtovanjem.
Z namenom ozaveščanja o teh številnih izzivih švicarsko predsedstvo Alpske konvencije in Stalni sekretariat (PSAC) fotografski natečaj 2021 posvečata Alpskim jezerom in rekam vseh velikosti in oblik. Izpostaviti želimo vode, od najmanjših mlak do največjih rek, ter njihovo neprimerljivo biotsko raznovrstnost.
Vabimo vas, da se prepustite navdihu alpskih pokrajin in pustite domišljiji prosto pot.
Konferenca Constructive Alps
Švicarsko predsedstvo Alpske konvencije in sekretariat mednarodne arhitekturne nagrade za trajnostno gradnjo in prenovo v Alpah »Constructive Alps« vabita na spletno konferenco o alpski gradbeni kulturi in podnebju prijazni gradnji, ki bo na sporedu 9. in 10. junija 2021.
V ospredju dogodka v znamenju »Constructive Alps« bo tokrat praktični pristop. Investitorke in investitorji, arhitektke in arhitekti, načrtovalke in načrtovalci ter uporabnice in uporabniki bodo z udeleženkami in udeleženci delile oziroma delili svoje izkušnje o uspešni gradnji, ki blagodejno vpliva na alpsko podnebje.
Spletni dogodek bo izveden prek aplikacije Zoom. Prispevki bodo tolmačeni v angleščino in v osrednje alpske jezike. Udeležba na dogodku je brezplačna. Vljudno vas prosimo za pravočasno prijavo. Udeleženke in udeleženci bodo pred konferenco prejele oziroma prejeli elektronsko pošto s spletno povezavo do virtualnega srečanja in vse potrebne informacije.
Program konference in prijavnica sta na voljo tukaj.
Konstitutivna seja Razvojnega sveta Kohezijske regija Zahodna Slovenija
V Mestni hiši v Ljubljani je potekala konstitutivna seja Razvojnega sveta kohezijske regije Zahodna Slovenija (v nadaljevanju Razvojnega sveta KRZS). Zbrane je uvodoma pozdravil Zdravko Počivalšek, minister za gospodarski razvoj in tehnologijo, ki je poudaril, da so v kohezijskih regijah Vzhodne in Zahodne Slovenije razvojne razlike znotraj obeh regij, zato je potrebno poskrbeti za uravnotežen razvoj vseh regij in vseh občin. La tako bo lahko Slovenija razvojno naravnana kot celota.
Člani Razvojnega sveta KRZS so soglasno potrdili mag. Lilijano Madjar za predsednicoin za podpredsednika Uroša Brežana, ki sta funkciji opravljala že v prejšnjem mandatu.
Po izvolitvi je predsednica izpostavila ključna odprta vprašanja, vezana na sofinanciranje projektov občin zahodne kohezijske regije v aktualni perspektivi.Predvidena je namreč bistveno manjša kvota evropskih sredstev, kot so razvojne potrebe regije, zaskrbljujoče je tudi znižanje stopnje sofinanciranja, saj naj bi bilo za projekte odobreno le 40 odstotkovsofinanciranje, kar je polovico manj kot v pretekli perspektivi, ko je bilo sofinanciranje z evropskimi sredstvi 80 odstotkov. Še vedno pa je veliko nejasnosti tudi glede dane obljube Vlade, da bo ta razlika pokrita z nacionalnim sofinanciranjem iz proračuna.
Člani so se po izvolitvi seznanili s stanjem in izzivi za uspešen zaključek mehanizma za dogovor za razvoj regij v Zahodni Sloveniji za obdobje 2014–2020, saj so predstavniki Ministrstva za gospodarski razvoj, Ministrstva za infrastrukturo in Ministrstva za okolje in prostor povzeli aktualno stanje glede napredka projektov, ki so v njihovi pristojnosti.
Sprejeli so tudi Poslovnik o delu Razvojnega sveta KRZS in potrdili imenovanje članov v neformalno delovno skupino SVRK-KRZS za pripravo partnerskega sporazuma in programov evropske kohezijske politike za obdobje 2021–2027. Na koncu seje pa so potrdili še Program dela s finančnim načrtom za leto 2021.
Razvojni svet
Razvojni svet je organ odločanja kohezijske regije Zahodna Slovenija, ki je ena od 281 evropskih regij na ravni NUTS 2, v katero se povezujejo 4 razvojne regije: Osrednjeslovenska, Gorenjska, Goriška in Obalno-Kraška. Povezujejo se za izvajanje kohezijske politike EU in opravljanje drugih skupnih nalog, povezanih z razvojem, ki jih sporazumno določijo občine in država. Vsaka v kohezijsko regijo vključena razvojna regija ima v Razvojnem svetu 5 predstavnikov. Razvojni svet ima tako skupaj 20 članov in enako število nadomestnih članov. Leto 2021 predstavlja prelomno leto za Razvojni svet KRZS, saj se je uradno začelo novo programsko obdobje 2021–2027, na katerega se navezuje 7-letni proračun EU t.i. večletni finančni okvir. Poleg tega bo to leto zelo intenzivno tudi na področju črpanja evropskih sredstev iz programskega obdobja 2014–2020, kamor sodijo tudi projekti mehanizma za dogovor za razvoj regij, ki se je v preteklosti izkazal kot izredno uspešen in učinkovit. Dogovor za razvoj regij je inštrument regionalne politike in je dvostranski izvedbeni akt, s katerim se uresničuje Regionalni razvojni program vsake razvojne regije tako, da se določijo ključni regijski in sektorski projekti za premagovanje razvojnih ovir v regiji ter viri financiranja.
Do sedaj je bilo potrjenih 32 projektov v vrednosti več kot 47 milijonov iz Evropskega sklada za regionalni razvoj in Kohezijskega sklada. Skupna vrednost projektov pa presega 107 milijonov evrov.
Policijska postaja Kamnik
PROMETNA NESREČA S POBEGOM
Na parkirišču na Trgu talcev je prišlo do prometne nesreče s pobegom zaradi nepravilnega premika z vozilom neznanega voznika, ki je trčil v parkirano vozilo in s kraja odpeljal. Sledi zbiranje obvestil in v primeru izsleditve povzročitelja le-tega ustrezen ukrep.
PROMETNA NESREČA V MOSTAH
Policisti so v Mostah obravnavali prometno nesrečo, v kateri sta bili udeleženi voznici osebnih avtomobil. Ena od voznic je bila v nesreči lažje telesno poškodovana. Povzročiteljici nesreče je bil izdan plačilni nalog zaradi kršitve Zakona o pravilih cestnega prometa.
TATVINA SKIROJA V KAMNIKU
Neznani storilec je iz Kolesarnice pri OŠ Toma Brejca odtujil zaklenjen električni skiro znamke Xiaomi sive barve. Sledi zbiranje obvestil in kazenska ovadba na okrožno državno tožilstvo.
PROMETNA NESREČA V ŠMARCI
Policisti so v Šmarci obravnavali prometno nesrečo v kateri so bila udeležena tri vozila. Povzročitelju nesreče je bil izdan plačilni nalog zaradi kršitve Zakona o pravilih cestnega prometa
PADLA S KOLESOM
Pri OŠ Toma Brejca je s kolesom padla mlajša kolesarka, ki se je pri padcu lažje telesno poškodovala. Policisti so na kraju ugotovili, da je bila kolesarka v nesreči udeležena sama.
KRŠITEV JAVNEGA REDA IN MIRU V KAMNIKU
Policisti so v centru Kamnika obravnavali kršitev javnega reda in miru, kjer je prišlo do verbalnega spora. Po zbranih obvestilih bo izdan plačilni nalog.
TATVINA KOLESA V KAMNIKU
Neznani storilec je med 16.20 in 16.45 izpred zgornjega vhoda v trgovino Mercator odtujil enduro kolo znamke GT Force 3.0, bele barve. Sledi zbiranje obvestil in kazenska ovadba na okrožno državno tožilstvo.
ZASEG PREPOVEDANE SNOVI
Policisti so v Kamniku kršitelju zasegli neznano snov rastlinskega izvora zeleno-rjave barve, za katero se sumi, da gre za prepovedano drogo. Po analizi bo zoper kršitelja uveden hitri postopek.
VLOM V STANOVANJE NA OBMOČJU KAMNIKA
Neznani storilec med 7. in 13. uro z neznanim predmetom odprl pritlično okno stanovanja ter iz njega odtujil gotovino in nakit. Lastnika je oškodoval za nekaj tisoč evrov. Sledi zbiranje obvestil in kazenska ovadba na okrožno državno tožilstvo.
TATVINA KOLESA V KAMNIKU
Neznani storilec je iz kolesarnice bloka na Groharjevi ulici odtujil moško gorsko kolo znamke Trek 5000, črne barve. Sledi zbiranje obvestil in kazenska ovadba na okrožno državno tožilstvo.
ZASEG PREPOVEDANE SNOVI
Policisti so v Kamniku kršitelju zasegli neznano belo prašnato snov, za katero se sumi, da gre za prepovedano drogo. Po analizi bo zoper kršitelja uveden hitri postopek.
PROMETNA NESREČA
Na Ljubljanski cesti se je zgodila prometna nesreča z manjšo materialno škodo, v kateri so udeleženci izpolnjevali vse pogoje za vožnjo v cestnem prometu. Na kraju je bilo izdano obvestilo o odstopu od ogleda prometne nesreče.
PROMETNA NESREČA S POBEGOM
Na parkirišču na Novem trgu je prišlo do prometne nesreče s pobegom zaradi nepravilnega premika z vozilom neznanega voznika, ki je trčil v parkirano vozilo in s kraja odpeljal ne da bi oškodovancu pustil podatke. Sledi zbiranje obvestil in v primeru izsleditve povzročitelja le-te sledi ustrezen ukrep.
PROMETNA NESREČA
V okolici Kamnika so policisti obravnavali prometno nesrečo, v kateri je voznik trčil v objekt. Pri tem je bilo ugotovljeno, da je voznik vozil pod vplivom alkohola. Začasno mu je bilo odvzeto vozniško dovoljene, sledi pa obdolžilni predlog na Okrajno sodišče v Kamniku.
POVOŽENJE DIVJADI
Na regionalni cesti Kamnik-Ločica je voznik z osebnim avtomobilom povozil srno in ob tem poškodoval osebno vozilo.
PROMETNA NESREČA S POBEGOM
Na regionalni cesti Vodice-Moste je prišlo do prometne nesreče s pobegom. Voznika sta trčila z zunanjimi ogledali, en voznik pa je s kraja nesreče odpeljal v smeri Most, ne da bi drugem udeležencu nudil svoje podatke. Sledi zbiranje obvestil in v primeru izsleditve povzročitelja nesreče sledi ustrezen ukrep.
PROMETNA NESREČA NA PARKIRIŠČU
Na parkirišču trgovskega središča Supernova se je zgodila prometna nesreča z manjšo materialno škodo, v kateri sta udeleženca izpolnjevala vse pogoje za vožnjo v cestnem prometu. Na kraju je bilo izdano obvestilo o odstopu od ogleda prometne nesreče.
ZASEG PREPOVEDANE SNOVI
Policisti so v okolici Komende kršiteljema zasegli neznano snov rastlinskega izvora zeleno-rjave barve, za katero se sumi, da gre za prepovedano drogo. Po analizi bo zoper kršitelja uveden hitri postopek.
TATVINA GASILNIH APARATOV
V trgovskem središču Supernova Kamnik je bilo preko noči odtujenih več gasilnih aparatov. Sledi zbiranje obvestil in v primeru izsleditve povzročitelja le-te sledi ustrezen ukrep.
PROMETNA NESREČA
Na kamniški obvoznici je prišlo do prometne nesreče z udeležbo dveh vozil. Povzročiteljici je bil izdan plačilni nalog po Zakonu o pravilih cestnega prometa.
POVOŽENJE DIVJADI
Na regionalni cesti Vodice-Moste je voznik z osebnim avtomobilom povozil srno in pri tem poškodoval vozilo.